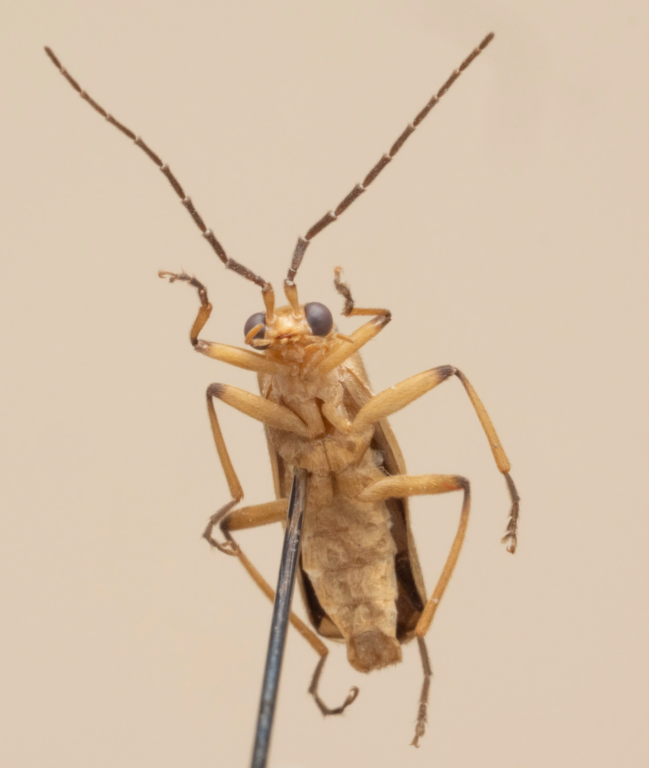
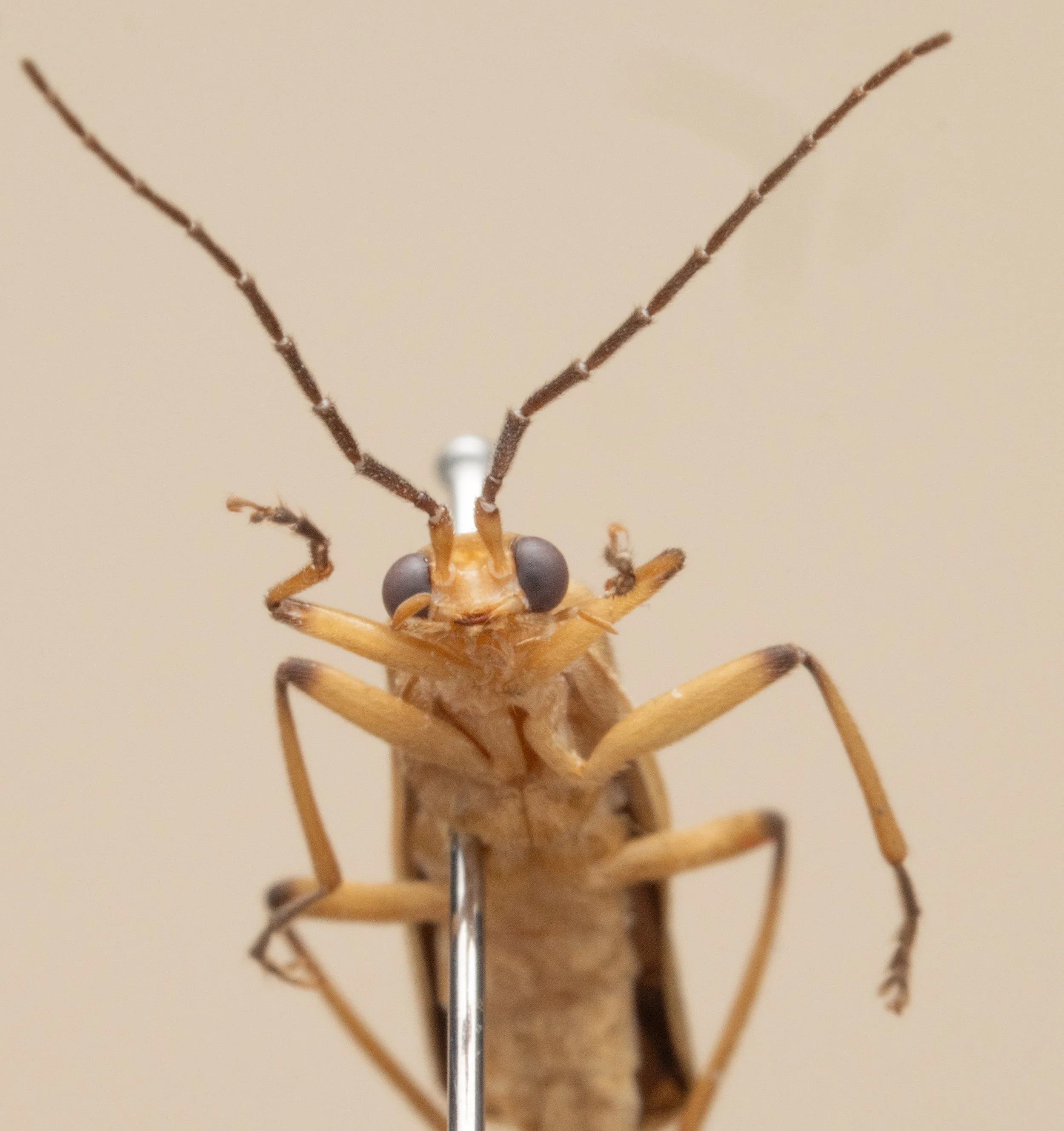
Cantharidae - Chauliognathus sp.

Pin #7 · Coleoptera · Cantharidae - Chauliognathus sp.

Guatemala: Zone 16, Guatemala City · 06 May 2025 · 14.61, -90.47

Collector: UVG · Photographer/ID: A. Angel

Preservation: Pin through right elytron — soft-bodied.

Characters: Soft leathery elytra; elongate body; leaf-shaped pronotum

Previous
Previous

Coccinellidae - Hippodamia convergens

Next
Next

Chrysomelidae